For Sale

3 Kailua Buildable CPR Homesites With Ko‘olau Views – The Kihapai ʻOhana CPR Opportunity

Some Kailua opportunities are about timing. Others are about location. A rare few are about possibility.

 

Koolau mountain views from cpr lots for sale

The Kihapai ʻOhana CPR offering falls squarely into the last category: three fee-simple Residential CPR / Spatial Units on a single, oversized Kailua parcel—set against the green backdrop of the Koʻolau Mountains, adjacent to one of the Windward side’s most meaningful natural corridors, and positioned for buyers who want to design something personal, intentional, and lasting.

This is not a speculative land play.
It’s a build-forward opportunity—where approvals, planning, and context already exist, and where the setting does much of the heavy lifting.

Aerial view of kailua oahu neighborhood

A Kailua Setting that Still Feels Connected to Land and Landscape

Kihapai Street sits in a part of Kailua that longtime residents recognize instantly: close to town conveniences, schools, and beaches—yet still quiet, green, and grounded. What makes this location particularly compelling is not just what surrounds it, but what stays open around it.

Nearby, Kawainui Marsh—the largest remaining wetland in Hawaiʻi—forms the ecological and cultural heart of the Windward plain. This vast open space shapes the light, airflow, birdlife, and sense of scale that defines Kailua living.

Feeding this system are Windward streams and springs that originate in the Koʻolau range, including flows from the Maunawili Valley. Together, they create a natural buffer of green space and water that helps preserve the character of the surrounding neighborhoods.

Kihapai ʻOhana benefits directly from this context. Instead of backing into dense development, the site relates to open land, vegetation, and mountain views—elements that can’t be recreated later and can’t be value-engineered away.

kailua lots with koolau mountains in background

Three Spatial Units. Three Distinct Opportunities.

The Kihapai ʻOhana CPR consists of three Residential CPR / Spatial Units, each offering a different balance of view orientation, build strategy, and lifestyle potential. Rather than forcing a single “best” lot, the site offers three distinct choices depending on buyer priorities.

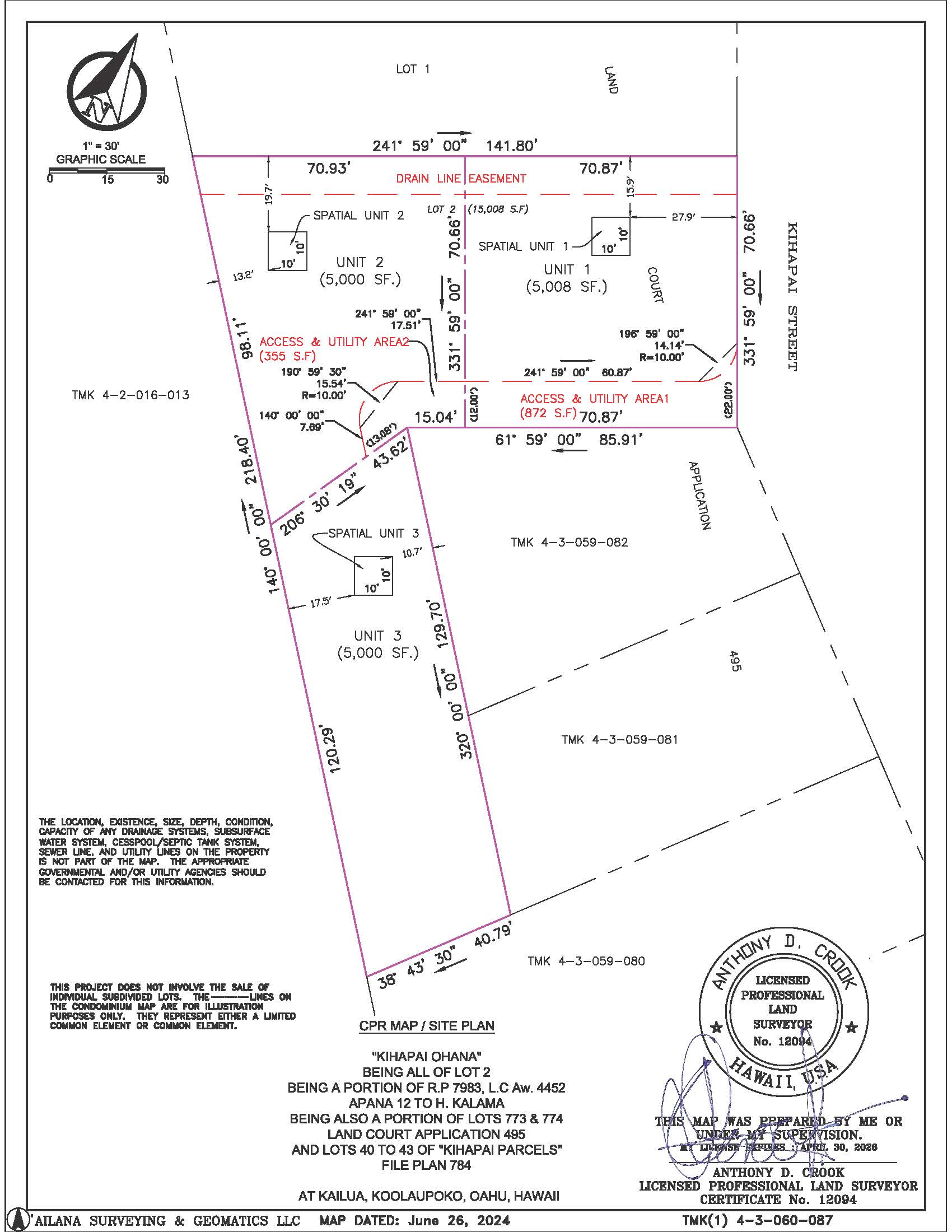
221 Kihapai Street CPR Map [6-26-2024] 15,008sf

Kihapai ohana cpr survey map

Unit 1 – The Grounded Lifestyle Unit

Unit 1 is best positioned for buyers who value yard space, privacy, and single-level living. With thoughtful design, it offers filtered Koʻolau views across neighboring open areas, particularly when a two-story configuration is considered (subject to design, height, and permitting).

This unit lends itself well to:

  • A single-story or modest two-story home
  • Strong indoor-outdoor flow
  • Landscaped outdoor living areas
  • Long-term livability with minimal vertical circulation

Best for: Primary residence buyers prioritizing comfort, usability, and connection to the outdoors.

Unit 2 – The Balanced View & Design Opportunity

Unit 2 strikes the most compelling balance between view potential and build flexibility. With elevation advantages and orientation toward the Koʻolau range, a thoughtfully designed two-story residence can unlock clearer, more commanding Koʻolau views, particularly from upper-level living areas.

This unit is ideal for:

  • Buyers who want meaningful mountain views without extreme verticality
  • Modern Windward-style architecture
  • Covered lanais oriented toward the mountains
  • Flexible layouts that separate living and sleeping spaces

Best for: Buyers who want both strong views and a practical, livable home design.

Unit 3 – The Premium Koʻolau View Lot

Unit 3 offers the strongest Koʻolau view potential of the three. Its positioning allows future construction—especially a two-story configuration—to capture broad, open mountain views that feel expansive and permanent.

From upper-level living areas, the Koʻolau range becomes a daily visual anchor: changing light, passing rain, and the dramatic scale that defines Windward Oʻahu.

This unit is best suited for:

  • Buyers prioritizing views as the primary value driver
  • Architectural designs that elevate main living spaces
  • Homes that frame the Koʻolau backdrop intentionally

Best for: End-users or builders seeking the most visually compelling finished product.

aerial view of three lots with lots lines in kailua oahu

Understanding “Residential CPR / Spatial Unit” ownership

A Condominium Property Regime (CPR) is a legally recognized form of ownership in Hawaiʻi. In this case, it allows three separate residential interests to exist on one underlying parcel, each with defined rights and responsibilities.

At a high level, buyers are acquiring:

  • A fee-simple CPR interest
  • Rights to a specific spatial unit / building area
  • Designated exclusive use areas
  • Shared interests in defined common elements

Importantly, CPR ownership does not mean apartment-style living. These are detached residential homesites, governed by recorded documents that establish boundaries, access, and responsibilities.

For many buyers, CPR structure provides a practical path to owning land and building in locations where traditional subdivision is limited or unavailable.

stream in kailua oahu

Planning Momentum Already Exists

One of the quiet strengths of Kihapai ʻOhana is that it is not starting from zero. Planning materials for the site already contemplate detached residential construction consistent with Kailua neighborhood character, including single-family dwellings with covered lanais and thoughtful site orientation.

Flood zone considerations—common in parts of Kailua—have already been acknowledged in prior planning, with finished floor elevations designed above required base flood elevations. This does not eliminate buyer due diligence, but it does mean the realities of the site are understood and accounted for.

For buyers and builders, this translates to fewer unknowns and a clearer path forward.

lots ready to build in kailua oahu that back up to canal

Who this opportunity is ideal for

  • Custom home buyers who want Kailua, Koʻolau views, and design control
  • Builders seeking rare, buildable Windward inventory
  • Multi-generational buyers wanting proximity without shared walls
  • Long-term owners prioritizing lifestyle and setting over quick resale

Kailua demand has never been the issue. Clean, build-ready opportunities like this are what disappear quietly when the right buyer walks the land.

three kailua lots for sale

The Next Step: Walk the Land

Kihapai ʻOhana is not a “scroll and decide” property.
It is a walk-the-site opportunity.

Standing on each unit area, orienting yourself to the Koʻolau range, understanding elevation and spacing—this is where the value becomes clear and personal.

Site walks are available by appointment.

If you are considering building in Kailua, this is the type of opportunity that rewards early, informed action.

kailua hawaii land with blazing sunset

Ready to Schedule a Site Walk?

For site walk scheduling, unit-specific discussion, or to review the CPR framework in more detail, reach out directly and let’s walk the property together.

Some opportunities don’t repeat.
They simply get built.

Here are the links to the MLS Listings:

About the Author

Jon Mann

Jon Mann is a REALTOR Broker, Broker-In-Charge with Hawai'i Life. With a passion for Hawai‘i real estate that spans over two decades, I bring a wealth of expertise and a track record of success to my position as Broker-in-Charge of Hawaii Life's East O‘ahu office. As a seasoned real estate professional since 2003, I have dedicated my career to helping individuals achieve their Hawai‘i real estate goals and aspirations. You can email me at jon.mann@hawaiilife.com or via phone at (808) 728-1230.

Comments (0) Show CommentsHide Comments (Remember)

Cool. Add your comment...

Your email address will not be published. Required fields are marked *

Leave your opinion here. Please be nice. Your Email address will be kept private, this form is secure and we never spam you.

More Articles from Hawaii Life